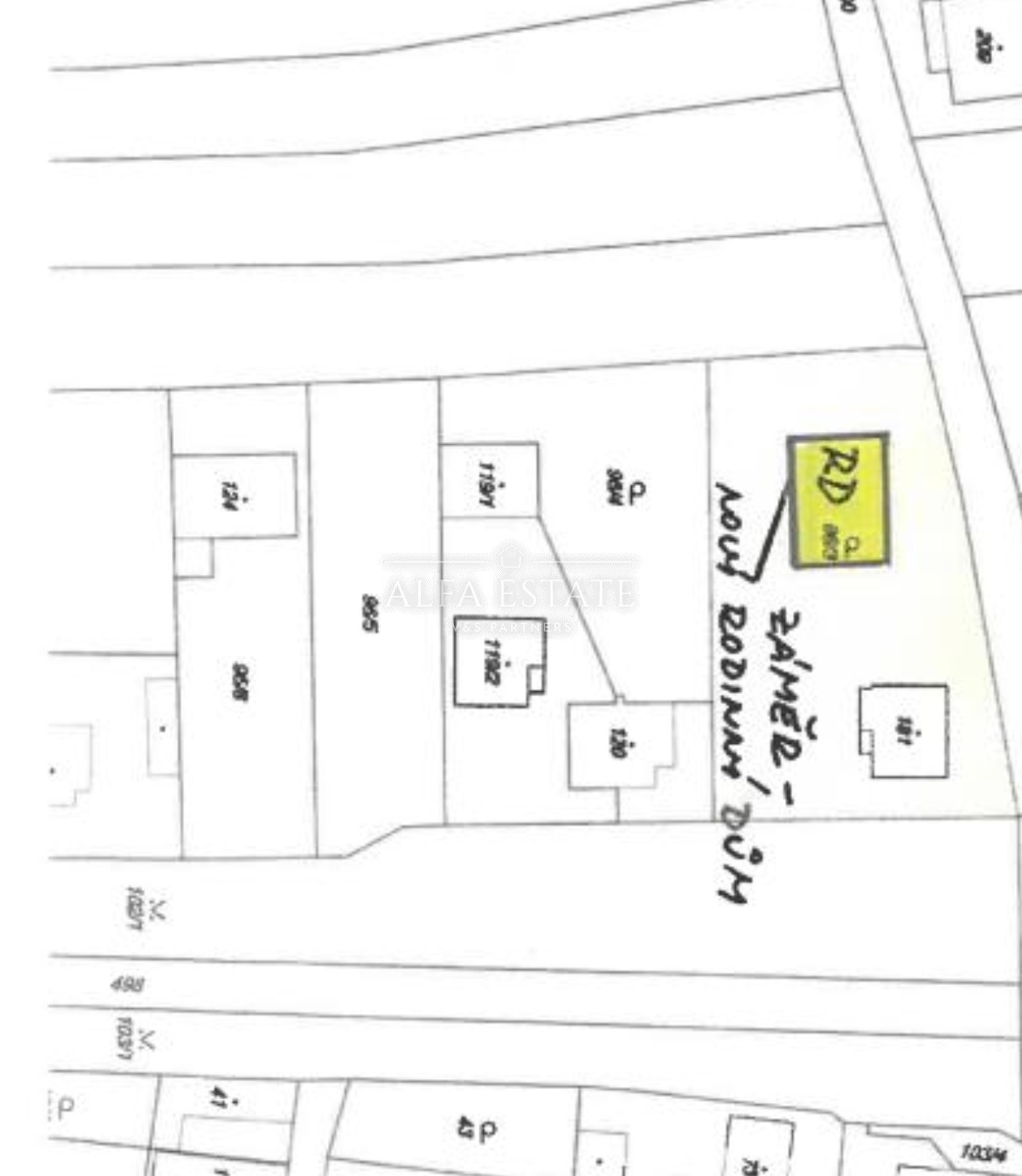
Nabízíme k prodeji samostatně stojící rodinný dům s podsklepením, jedním nadzemním podlažím a obytným podkrovím. Objekt je postaven ze zdiva z plynosilikátových tvárnic, založený na základových pásech. Jedná se o podsklepený dům – využití suterénu pro technické zázemí a skladovací prostory a jedno nadzemní podlaží + obytné podkroví. Konstrukce domu je zděná, sedlová střecha se střešní krytinou z plechových šablon, fasáda- stříkaný břízolit, kabřincový obklad. Stropy: z hurdisek do I profilů, podlahy: PVC a keramické dlaždice. Vnitřní omítky: štukové, částečně dřevěné obklady. Dům sestává ze vstupního prostoru, po pravé straně se nachází velmi prostorný obývací pokoj s balkónem a krbovými kamny, ze kterého vejdeme do kuchyně, sousedící s koupelnou. V obytném podkroví se potom nachází dvě ložnice, k jedné náleží balkon. Vytápění je řešeno elektrokotlem, voda a kanalizace jsou napojeny do veřejného řádu. Jedná se o klasický rodinný dům Nemovitost má solidní konstrukční stav a standardní vybavenost, která umožňuje užívání, i postupnou modernizaci dle představ nového majitele. Výhodu je možnost rozdělení pozemku na druhý stavební pozemek o výměře 800m2 a stavbou rodinného domu 150m2. K tomuto záměru byl vydán souhlas s dělením pozemku, včetně souhlasu na napojení na komunikaci a veřejný vodovod a kanalizaci. Součástí prodeje nemovitosti je také pozemek o výměře 385m2-ostaní plocha, který se nachází nedaleko. Obec Hostín u Vojkovic leží ve Středočeském kraji, v okrese Mělník, přibližně 25 km od Prahy. Díky poloze v úrodné polabské nížině nabízí příjemné a klidné prostředí vhodné pro rodinné bydlení i rekreaci. Hostín je dobře dopravně napojen na okolní města. Autem se do Prahy dostanete během půl hodiny, do Kralup nad Vltavou za cca 10 minut a do Mělníka přibližně za 15 minut. Obcí prochází silnice II/101, která spojuje Neratovice s Kralupy nad Vltavou. Veřejnou dopravu zajišťují pravidelné autobusové linky s návazností na vlaky v Neratovicích a Kralupech nad Vltavou. V obci funguje mateřská a základní škola (1.–5. ročník), pošta a obecní úřad. Pro větší nákupy, zdravotní péči či další služby lze využít blízké Kralupy nad Vltavou, Neratovice nebo Mělník, kde je k dispozici kompletní infrastruktura. Hostín u Vojkovic je tradiční česká vesnice s příjemnou komunitní atmosférou. Obec se stará o společenský život – pořádá kulturní i sportovní akce a podporuje místní spolky. Okolní krajina mezi řekami Labem a Vltavou je ideální pro cyklistiku, procházky i aktivní trávení volného času v přírodě. Hostín u Vojkovic je klidná a dobře dostupná obec nedaleko Prahy s vlastní základní vybaveností a příjemným venkovským prostředím. Díky blízkosti měst Kralupy nad Vltavou, Neratovice a Mělník nabízí ideální kombinaci klidu, přírody a rychlé dostupnosti veškerých služeb. Velmi rádi vám tuto nemovitost představíme při osobní schůzce.
Další informace
14 500 000 Kč za nemovitost
|
Soňa Petříková |
| 603382392 alfaestate@alfaestate.cz |






